| Tarikh | : | 16 Februari 2014 (Ahad) |
| Masa | : | 7:00 Pagi |
| Tempat | : | Pusat Kecemerlangan Sukan Westlands, Jalan Padang Victoria, Pulau Pinang |
| Pelepasan Oleh | : |
|
| Anjuran | : | Majlis Perundingan Muhibbah Negeri Pulau Pinang |
| Dengan Kerjasama | : | Jabatan Pendidikan Negeri Pulau Pinang |
Poster Larian Perpaduan 2014
[divider]Muat turun borang penyertaan:
Format: MS Word (.doc) | Acrobat (.pdf)
Pelajar Sekolah: Sila daftar melalui sekolah masing-masing atau layari www.msspp.com untuk maklumat lanjut dan borang penyertaan
Tarikh Tutup Permohonan: 10 Februari 2014
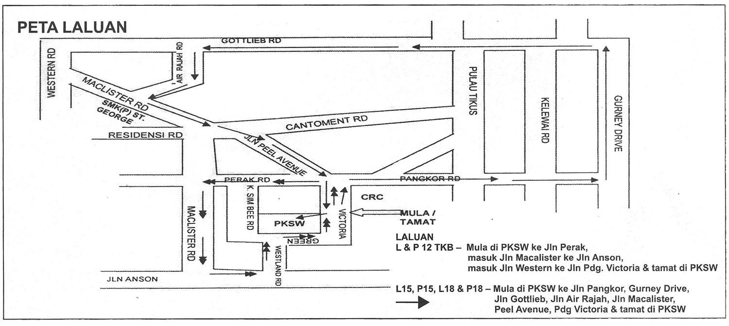
[divider]Peta Laluan Larian
[divider]Objektif
- Menggalakkan aktiviti kecergasan di kalangan masyarakat di samping mengeratkan silaturahim antara kaum
KATEGORI & JARAK
a) Pelajar sekolah (hendaklah mendaftar melalui sekolah masing-masing atau layari www.msspp.com (Larian Perpaduan 2014)) :
- Lelaki 12 TKB (3 km)
- Perempuan 12 TKB (3 km)
- Lelaki 15 TKB (6.5 km)
- Perempuan 15 TKB (6.5 km)
- Lelaki 18 TKB (6.5 km)
- Perempuan 18 TKB (6.5 km)
b) Daftar melalui borang penyertaan
- Lelaki Terbuka (6.5 km)
- Perempuan Terbuka (6.5 km)
YURAN PENYERTAAN
a) Pelajar sekolah hendaklah mendaftar melalui sekolah
b) Penyertaan dewasa RM12 (seorang)
Bayaran melalui Cek / Wang Pos hendaklah dibuat di atas nama
” MAJLIS PERUNDINGAN MUHIBBAH NEGERI PULAU PINANG “
BORANG PENYERTAAN
Borang penyertaan boleh didapati di lokasi berikut:
- Persatuan Melayu Pulau Pinang (PEMENANG)
60, Jalan PEMENANG, 10250 Pulau Pinang.
Tel : 04-227 3092 Fax : 04-228 3937 - Pondok Pengawal
Pusat Kecemerlangan Sukan Westlands,
Jalan Padang Victoria, Pulau Pinang
PENDAFTARAN / NO. PESERTA
Borang pendaftaran (bersama yuran penyertaan) yang lengkap hendaklah dihantar kepada:
Urusetia
d/a Persatuan Melayu Pulau Pinang (PEMENANG)
60, Jalan PEMENANG, 10250 Pulau Pinang.
Tel: 04-227 3092 Fax: 04-228 3937
LAPOR DIRI DI
PUSAT KECEMERLANGAN SUKAN WESTLANDS, JALAN PADANG VICTORIA, PULAU PINANG
Tarikh : 16 Februari, 2014 (Ahad)
Masa : 6.00 pagi – 7.00 pagi
HADIAH
- Tempat 1 hingga ke-15 setiap kategori akan menerima pingat.
- Trofi tambahan akan diberi kepada tempat pertama hingga ke-6 setiap kategori.
- Sijil penyertaan dan kupon cabutan bertuah akan diberi kepada semua peserta yang menamatkan larian.
CABUTAN BERTUAH
* Basikal
* Beberapa hadiah istimewa lain juga disediakan.
KESELAMATAN
Semua peserta bertanggungjawab keatas keselamatan diri. Pihak penganjur akan menyediakan kemudahan keselamatan dan pertolongan cemas. Pihak penganjur tidak akan bertanggungjawab atas sebarang kehilangan harta benda, kemalangan, kecacatan, kecederaan, kematian dan lain-lain pada, sebelum atas selepas acara ini.




